WeekendHobby.com
เครื่องมือในการใช้งาน website =>> สมัครสมาชิก | Login | Logout | เปลี่ยนไอคอนส่วนตัว | เกี่ยวกับเรา | ติดต่อโฆษณา         View stat by Truehits.net


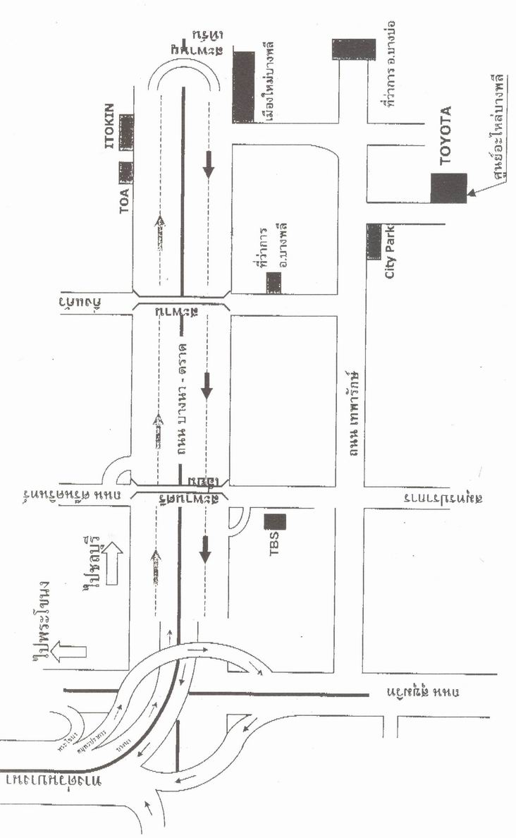
ขอข้อมูลที่ตั้งของ ศูนย์อะไหล่ TOYOTA ( ศูนย์ใหญ่นะครับ )

จาก toc 131
203.144.143.250
เสาร์ที่ , 10/7/2547
เวลา : 08:34

อ่านแล้ว = 484 ครั้ง
 เก็บเข้ากระทู้ส่วนตัว
แจ้งตรวจสอบกระทู้
 แจ้งลบ
ส่งหาเพื่อน ส่งหาเพื่อน


edit แก้ไขข้อความ
       ช่วยชี้นะด้วยครับ ขอบคุณครับผม


คำตอบแบ่งหน้าละ 30 คำตอบ ขณะนี้คุณอยู่ที่หน้า 1 จาก >>> 1  

คำตอบที่ 1
       ใช่ที่นี่หรือป่าวครับ



มืด จาก มืด TOC-101 203.121.138.91 เสาร์, 10/7/2547 เวลา : 09:33   


คำตอบที่ 2
       งั้นอีกที่นึง เป็นคำตอบสุดท้าย แล้วครับ
โทร 02 313-1035
ขอบคุณคุณตะวันทอแสง ที่ให้ข้อมูล ครับ



มืด จาก มืด TOC-101 203.121.138.91 เสาร์, 10/7/2547 เวลา : 11:18   


คำตอบที่ 3
       น้าสน stand by เลยนะครับ

suchada จาก ตะวันยิ้ม 202.57.188.3 เสาร์, 10/7/2547 เวลา : 10:10   


คำตอบที่ 4
       ตามคำตอบที่ 1 ของคุณตะวันทอแสงถูกต้องแล้วครับ เป็นศูนย์อะไหล่ ที่ใหญ่มาก ๆ น่าจะเป็นอันดับที่ 2 รองจากประเทศญี่ปุ่นเลยน่ะครับ เบอร์โทรศัพท์ติดต่อน่ะครับ 02-3131380-4 ครับ

ถูกต้องแล้วครับคุณมืด TOC-101

Karn  Phakakaew จาก Joting TOC-042 ( อดีตเด็กวิ่งหาอะไหล่ ) เสาร์, 10/7/2547 เวลา : 11:27   


คำตอบที่ 5
       ถูกต้องนะกร๊าบ คุณมืด TOC 101



k_sonchai จาก ตะวันทอแสง 203.156.191.123 เสาร์, 10/7/2547 เวลา : 11:30   


คำตอบที่ 6
       ขอบคุณทุกๆท่านครับที่ชี้แนะ (ขอบคุณครับผม )

จาก toc 131 อาทิตย์, 11/7/2547 เวลา : 08:15 edit แก้ไข delete ลบ   


คำตอบที่ 7
       อยู่ทางไปการเคหะเมืองใหม่บางพลี จากถนนบางนา-ตราด มาจากกรุงเทพมีสะพานกลับรถเข้าเมืองใหม่บางพลี วิ่งตรงเข้าไปถึงสีแยกไฟแดง ให้เลี้ยวขวาถนนเทพารักษ์ วิ่งตรงไปจะมีสะพานข้ามครองแรก วิ่งมาประมาณ 100 เมตร ให้เลี้ยวซ้ายเข้าซอย ( จุดสังเกตุจะเลี้ยวก่อนถึงห้างตั้งฮั่วเส่ง ) แล้ววิ่งตรงเข้าไปประมาณ 1.5 ก.ม. จะเห็นศูนย์อยู่ฝั่งซ้ายมือครับ

k_sonchai จาก ตะวันทอแสง เสาร์, 10/7/2547 เวลา : 08:54   


คำตอบที่ 8
       ที่นี่ก็ โตโยต้า บอดี้เซอร์วิท ใหญ่เหมือนกัน



มืด จาก มืด TOC-101 203.121.138.91 เสาร์, 10/7/2547 เวลา : 09:35   


คำตอบที่ 9
       คำตอบที่ 2 จะเป็นโรงงานประกอบที่สำโรงครับคุณมืด TOC 101
คำตอบที่ 3 จะเป็นศูนย์บริการด้านซ่อม บอดี้ ที่ใหญ่ที่สุดของ โตต้าครับ

k_sonchai จาก ตะวันทอแสง 203.156.191.123 เสาร์, 10/7/2547 เวลา : 10:00   


คำตอบที่ 10
       ถ้าจะไปซื้ออะไหล่ท่อ หานใจแนะนำให้โทรไปสั่งไว้ที่ toyota body bangna ดีกว่า เพราะท่าวิ่งรถไปเองที่บางพลี จะไม่มีส่วนรถและไกลมากก่วา

จาก TAV 203.209.121.168 เสาร์, 10/7/2547 เวลา : 10:31   

กระทู้ข้อมูลเก่า สำหรับอ่านได้อย่างเดียว

คำตอบแบ่งหน้าละ 30 คำตอบ ขณะนี้คุณอยู่ที่หน้า 1 จาก >>> 1  



      




Since 22, Feb 2001 hit counter View My Stats  Truehits.net      วันอาทิตย์,7 ธันวาคม 2568 (Online 2878 คน)